Retour

Corbigny (58800)
58, env 15mns de Corbigny-St Saulge et 8mns Brinon sur Beuvron - Maison habitable + dépendance et terrain le t

Prix
du bien
103 000 €
réf : 1640

01
Général

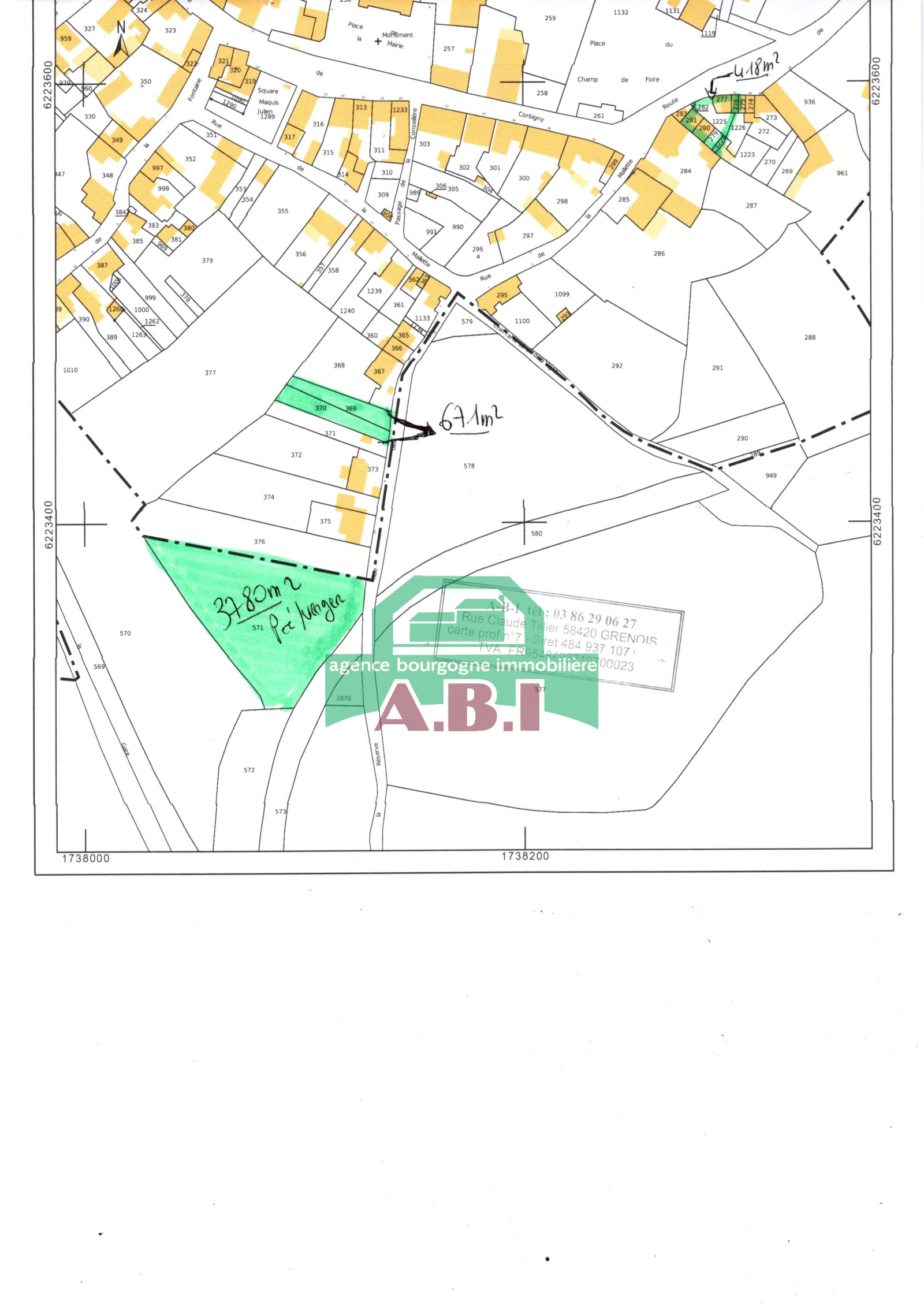
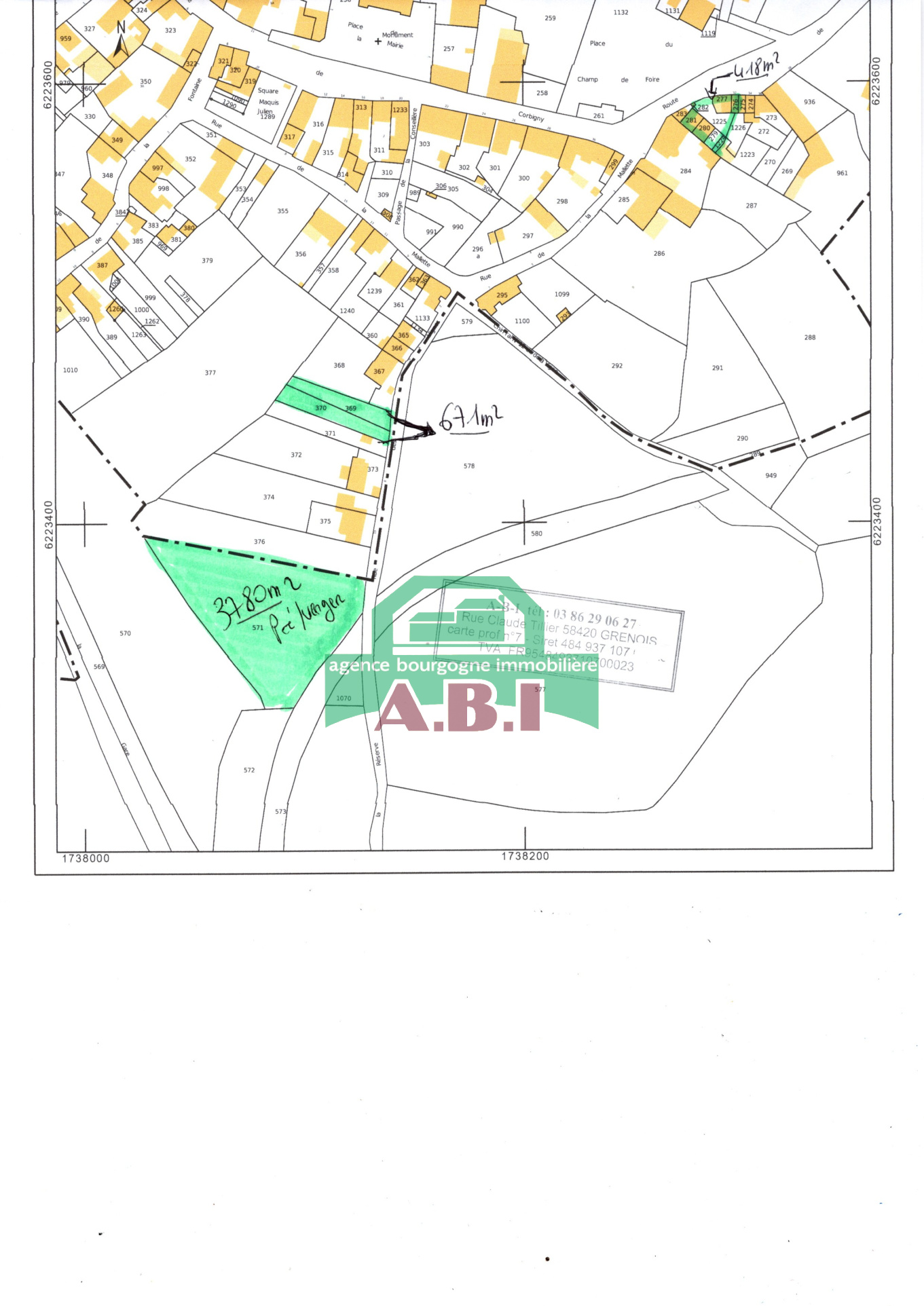
58, référence 1640 - Maison de bourg (env 115m²) habitable avec Dépendance + à 5mns à pied un prés-verger ainsi qu'un grand jardin avec vue. -Le tout sur 4869m².

Partie habitalbe au RDC : entrée sur spacieuse de Vie (env 47m²) tommettes + beau plafond à la française - cheminée tubée-insert + une autre cheminée tubée avec poêle à bois - accès à une véranda (env 10m²) et au jardin ; une Cuisine aménagée(env 12m²) plaque-four-hotte, une Buanderie-WC (env 3m²).

Etage : couloir + espace bureau, 3 Chambres indépendante (env 11 + 9 et une + petite de 7m², une pièce dressign(env 6m²) et une Salle de Bains avec WC (env 10m²).

Toutes les chambres ont une bouche de chauffage de l'insert.

Belle et grde cave voûtée dessous. Cour intérieur / jardin avec une spacieuse Dépendance comprenant une grange/garage (env 59m²) + un atelier avec WC / douche et cuisine d'été (eau froide env 44m²), spacieux grenier au-dessus + un espace aménagée en une chambre d'amie (env 22m²).

Egalement à 5mns à pied : un grand pré/verger (de 3780m²) + un spacieux jardin (de 671m²) environnement calme et agréable vue. Taxe foncière annuelle 896€/an. - DPE D - GES C

02
Plus d'infos

  • Code postal
    58800
  • Surface habitable (m²)
    117 m²
  • surface terrain
    4 869 m²
  • Nombre de chambre(s)
    3
  • Nombre de pièces
    5
  • Nombre de niveaux
    1

03
Financier

  • Prix de vente honoraires TTC inclus
    103 000 €

04
Plus de détails

  • Nb de salle de bains
    1
  • Nombre de garage
    1
  • Année de construction
    1850

05
Copropriété

  • Copropriété
    NON

06
Bilan énergétique

DPE GES
Nos outils

Plus d'informations sur
le quartier

  • Commerces et santé
  • Loisirs
  • Ecoles
  • Transports
  • Pratique
Intéressé(e)
par ce bien